left 
Der Wiedehopf
reload
arrow_down

Der Wiedehopf (Upupa epops)

Vogel des Jahres 2022

Bild: Delyth Williams/Pixabay
So hübsch sieht er aus, der Wiedehopf mit seiner schwarz gesprenkelten orange-braun-farbenen Haube. Mit einer Flügelspannweite von 44-48 cm bevorzugt der schillernde Vogel möglichst warme und trockene Landschaften. Daher trifft man ihn in Deutschland nur in den Sommermonaten an. Schon ab Mitte Juli macht er sich auf Richtung Mitteleuropa und Afrika, wo er bis zum Februar/März überwintert.
Ein Bericht von Alexandra Pfitzmann

Sein gesamtes Lebensareal reicht von Nordafrika über Süd- und Mitteleuropa bis Indochina. In Bayern ist der Wiedehopf auf der Roten Liste als vom Aussterben bedroht aufgeführt, auf der Roten Liste Deutschland ist er als gefährdet eingestuft. Ca. 800-950 Paare brüten in Deutschland, wobei in Bayern nur 9-12 Paare bekannt sind. Grund für den recht hohen Rückgang des Bestands ist vor allem der Verlust an Lebensräumen, der hohe Pestizideinsatz und der Mangel an Nistplätzen. Als sogenannter sekundärer Höhlenbrüter nutzt er bereits vorhandene Höhlen, Baumspalten oder auch Erdlöcher. Mit gezielten Schutzmaßnahmen sollen die Voraussetzungen für einen gesunden Bestand des Wiedehopfs nun verbessert werden. Um ihm die größtmögliche Aufmerksamkeit zu schenken, wurde er zum Vogel des Jahres 2022 gewählt.

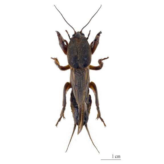
Maulwurfsgrillen stehen oben auf dem Speiseplan

Um dem Wiedehopf mehr Schutz zu bieten, ist es vor allem wichtig, sicherzustellen, dass das Nahrungsangebot stimmt. Intensiv bewirtschaftete Flächen und der Rückgang bestimmter Insektenarten spielen hierbei eine große Rolle. So steht die Maulwurfsgrille, eine der größten Grillenarten Europas, beim Wiedehopf ganz oben auf der Liste der bevorzugten Speisen, vor allem während der Aufzucht der Brut.

Maulwurfsgrille. Foto: Muséum de Toulouse / Lizenz: Creative Commons BY-SA 4.0
Fliegender Wiedehopf mit Maulwurfsgrille. Foto: © AdobeStock/Mareen Vandelay

Helfen Sie dem Wiedehopf!

Der Landesbund für Vogelschutz (LBV) hat ein Meldeformular eingerichtet, in dem man Sichtungen des Wiedehopfs angeben kann, um den Bestand genauer zu ermitteln. Schauen Sie online einfach unter diesem Link nach: https://www.lbv.de/naturschutz /arten-schuetzen/voegel/wiedehopf/wiedehopf-melden/.

Der Gattungsname des Wiedehopfs „Upupa“ geht vermutlich auf die Nachahmung seines Balzrufs „upupup“ zurück. Im Althochdeutschen wird der Vogel, der auch im Wappen der nordrheinwestfälischen Stadt Brechten abgebildet ist, wird der lautmalerische Ursprung im Wort „wüthüp“ oder „wituhopfa“ angenommen.